Autore: Marisa Cecchetti
Il modo migliore per godersi una vacanza subacquea alle isole
Cayman è quello di salire su una barca attrezzata e di andarci tra dicembre e
aprile.
Cercando nel web mi sono imbattuta nella flotta navale americana tra le più
attrezzate per subacquei che già conoscevo per un precedente bellissimo viaggio
a Coco Island: Aggressor Fleet (www.aggressor.com ).
Per raggiungere le Cayman ci si può affidare al web facendo la ricerca dei voli,
o ad un’agenzia che tratti questa località, in ogni caso è importante sapere che
se si necessita di un giorno di pernottamento prima di imbarcarsi, è meglio
farlo al di fuori delle Cayman in quanto i prezzi sono molto elevati (per
esempio a Miami o in altre città vicine dove si atterra).
Nel caso del fai-da-te si consiglia di consultare i siti riguardanti la validità
del passaporto per transitare negli USA e tutte le relative norme, perché negli
Stati Uniti sono molto precisi per quanto riguarda i controlli ed è bene che
eventuali scali di voli siano distanziati tra loro di parecchie ore.
La barca è ovviamente dotata di compressori adatti anche alle miscele Nitrox, ha
già tutta l’attrezzatura per chi ne avesse bisogno, e possiede tutti i comfort
necessari per una vacanza per niente faticosa.
Alle Cayman ci sono comunque anche diving che operano da terra.
L’itinerario della crociera che inizia da Georgetown a Grand Cayman, può variare
a seconda delle condizioni meteo, in una settimana è difficile effettuare tutte
le immersioni possibili, ma è certo che quelle che si fanno danno una grossa
soddisfazione.

Nel mese di febbraio quando sono andata, solamente per pochi
minuti si sono verificati fenomeni piovosi, un discreto vento, temperatura tra i
27 e i 30 °C, mare prevalentemente calmo.
L’acqua del mare si aggirava attorno ai 26°C e non vi sono stati punti di
immersione con particolari correnti marine. La profondità massima che in genere
si raggiunge è di -40 mt e si rimane sempre in curva con immersioni di circa 45
minuti ciascuna.
Le immersioni sono illimitate (si arriva ad un massimo di 5 in una giornata)
comprese alcune notturne dove è possibile ammirare il lento camminare di grossi
granchi.
E’ abitudine tra gli americani che sono la maggior parte degli ospiti della
barca, effettuare il predawn dive cioè immergersi la mattina presto poco
prima del sorgere del sole, e godere dell’alba sott’acqua.
Cosa si vede
Relitti da perlustrare all’interno, grandi e circondati da una rigogliosa fauna
marina.

Lyon fish: pare che a causa di un errore umano la zona
sia infestata da lyon fish i quali stanno divorando il cibo dei pesci locali,
per questo motivo può capitare che in qualche immersione una guida utilizzi un
tridente per infilzare questi bei pesci per darli subito in pasto agli squali in
modo da insegnare loro a considerare i lyon fish come pasto principale (così mi
è stato raccontato). Non si esclude la possibilità di assaggiare uno di questi
lyon fish magistralmente cotti dal cuoco di bordo (una prelibatezza!).
Squali: quelli che appena vedono i subacquei si fanno venire l’acquolina
in bocca (non si sa se per gli esseri umani o per i lyon fish), sta di fatto che
a volte sono veramente agitati quando un loro pretendente più lesto ruba il cibo
e può capitare che sfoghino la loro “ira famelica” addosso a qualche sub (per
esempio con una capocciata come è successo ad un americano in immersione);
l’importante è ammirare tranquilli la loro forma perfetta con le spalle al reef!

Aragoste giganti ovunque imboscate in qualche anfratto
corallino o che passeggiano sul fondo.

Barracuda solitari, pesci trombetta, sciami di
carangidi che accompagnano il subacqueo in una danza rilassante.
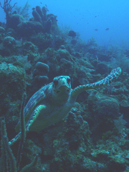
Tartarughe testarde che restano tanto tempo a beccheggiare su una roccia
in cerca di cibo.

Ma veniamo all’attrazione principale di tutta la crociera: le
razze.
L’Aggresso Fleet, per chi avrà modo di prenotarsi fai-da-te, è organizzata
benissimo in tal senso: prima di partire invia un file pdf con alcune cose molto
importanti da sapere tra cui il fatto che in immersione non sono ammessi i
guanti per evitare che i sub siano tentati di toccare tutto rovinando il reef.
Ebbene mi sono resa conto di una grossa contraddizione durante un’immersione a
-4 mt in uno sciame di razze. Ci siamo disposti in cerchio in ginocchio sulla
sabbia e mentre una guida ci passava del cibo, l’altra faceva le foto turistiche
dei subacquei che davano da mangiare alle razze e le accarezzavano.
Qualche razza si chiudeva addosso ai sub, qualche altra mordeva la mano chiusa
contenente il cibo (come è successo a me).
Il fotografo insisteva con gli scatti finché non gli ho detto di non farmene
più: sinceramente non ho gradito quella immersione, e anzi dopo un po’ mi sono
anche annoiata e me ne sono andata a fare una passeggiata nei dintorni.
Gli americani adorano queste “avventure” da raccontare e non tengono conto del
fatto che le razze non sono animali domestici come i cani. Quelle lì poi erano
già in attesa della barca che ogni settimana passa per dar loro il cibo già
pronto.
All’uscita dell’immersione mi sono confrontata con altri ospiti e un paio di
signore americane erano del mio stesso parere oltre che del fatto che in ogni
barca subacquea è bene istruire ed educare nel modo migliore i turisti dal punto
di vista del rispetto della natura e della sua spontaneità (cosa che succede in
altre barche da me frequentate in precedenza, per es. in Thailandia).
Ho segnalato la cosa al quartier generale dell’Aggressor Fleet nonostante
un’ospite americana mi aveva già detto che era da tempo che avvertiva la
compagnia senza ottenere risultati. Probabile che sia una scelta del capitano
non disapprovata dalla flotta.

In conclusione consiglio vivamente una vacanza
subacquea alle isole Cayman dove però sconsiglio di fare acquisti.
Un grande apprezzamento va all’equipaggio della Cayman Aggressor IV dove si
percepisce una totale democraticità nello svolgere qualsiasi tipo di lavoro
indipendentemente dal grado gerarchico occupato.

È assolutamente vietata la riproduzione, anche
parziale, del testo e delle immagini presenti in questo articolo senza il consenso dell’autore.









